Обраний метод посолу тараньки може багато розповісти про смак риби та її корисні властивості. Ось цей рецепт зробить її м'якою — немов вершкове масло. "Сенсація" наводить його повністю.

Як засолити тараньку сухим посолом
Сухий посол тараньки – класичний варіант засолювання риби, при якому її засолюють сухим способом – без використання води. Він забезпечує отримання щільної, ароматної та солоної закуски.
Данний метод засолювання ідеально підійде для дрібної риби. Завдяки йому можна контролювати об’єми солі. Глибоке проникнення солі в товщу риби забезпечить тараньці більш тривале зберігання.
Сухе засолювання тараньки буде вдалим, якщо виконати його в певній послідовності. Спочатку обов’язково підготуйте рибу. Якщо вона дрібна – потрошити її не варто. Це збереже максимальну жирність. Єдине, що можна видалити – це зябра. Крупну рибу можна і випотрошити.
Візьміть посуд із отворами. Це може бути як дуршляк так і ящик. Встановіть її в ємність побільше – щоб туди в подальшому стікав розсол (тузлук).
На дно меншої ємності насипте шар харчової повареної солі крупного помелу. Також цією ж сіллю натріть рибини проти луски. Сіллю набийте риб’ячі зябра. Вкладайте рибу в ємність спинками доверху. Кожен шар риби пересипайте товстим шаром солі.
Коли вся риба буде вкладена – зверху покладіть тарілку або дерев’яний круг. Зверху встановіть гніт. Це може бути звичайна банка з водою або важка цеглина.
Ємність з рибою поставте на 2-4 дні на холодний балкон, у холодильник чи в погріб. Температура зберігання повинна бути на рівні +2…+5 градусів.
В цей період риба буде виділяти багато соку. Коли ж цей процес завершиться, а майбутня таранька стане твердою, вийміть її з ємності. Добре промийте від залишків солі та замочіть в холодній воді на 1-2 години.
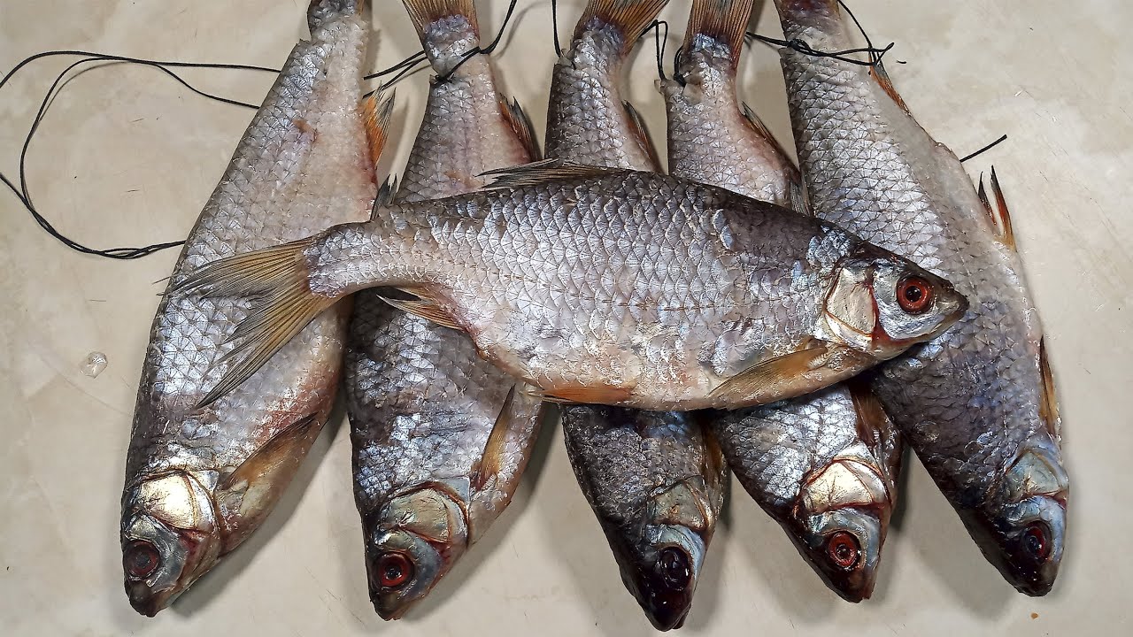
Солону тараньку вивішуйте сушитися на свіжому повітрі донизу головами. Увесь процес висушування займе від 10 до 14 днів. Готова риба виходить жирною, масляною і з помірним вмістом солі.
Цей сайт використовує cookies для покращення результатів відображення реклами для вас